Active Whakatāne (Apanui Avenue Neighbourhood Greenways)
Consultation has concluded
Road works to complete Stage 1 of the Apanui Avenue Neighbourhood Greenway project will take place from Monday, 28 June to Sunday, 18 July 2021.
The Apanui Avenue and McGarvey Road intersection will be closed during this time, which means there will be no access to Apanui Avenue via McGarvey road, except for some pedestrian access.
We strongly advise parents and caregivers of Apanui Kindergarten, School and Kura students to avoid using Apanui Avenue, and instead drop children off on McAlister Street or McGarvey Road. This may also be a good opportunity for older children to build some independence by being dropped off a little further from school or walking/cycling from home.
As a result of these works, there will be bad traffic congestion on Apanui Avenue. There will also be severe congestion on Pounama Place, because it’s the only location available for vehicles to turn around. Any additional traffic will prevent residents from accessing their properties, and will create a safety hazard for school students and residents - please be considerate. Due to the safety risks, there will be strict enforcement of parking restrictions on Pounama Place.
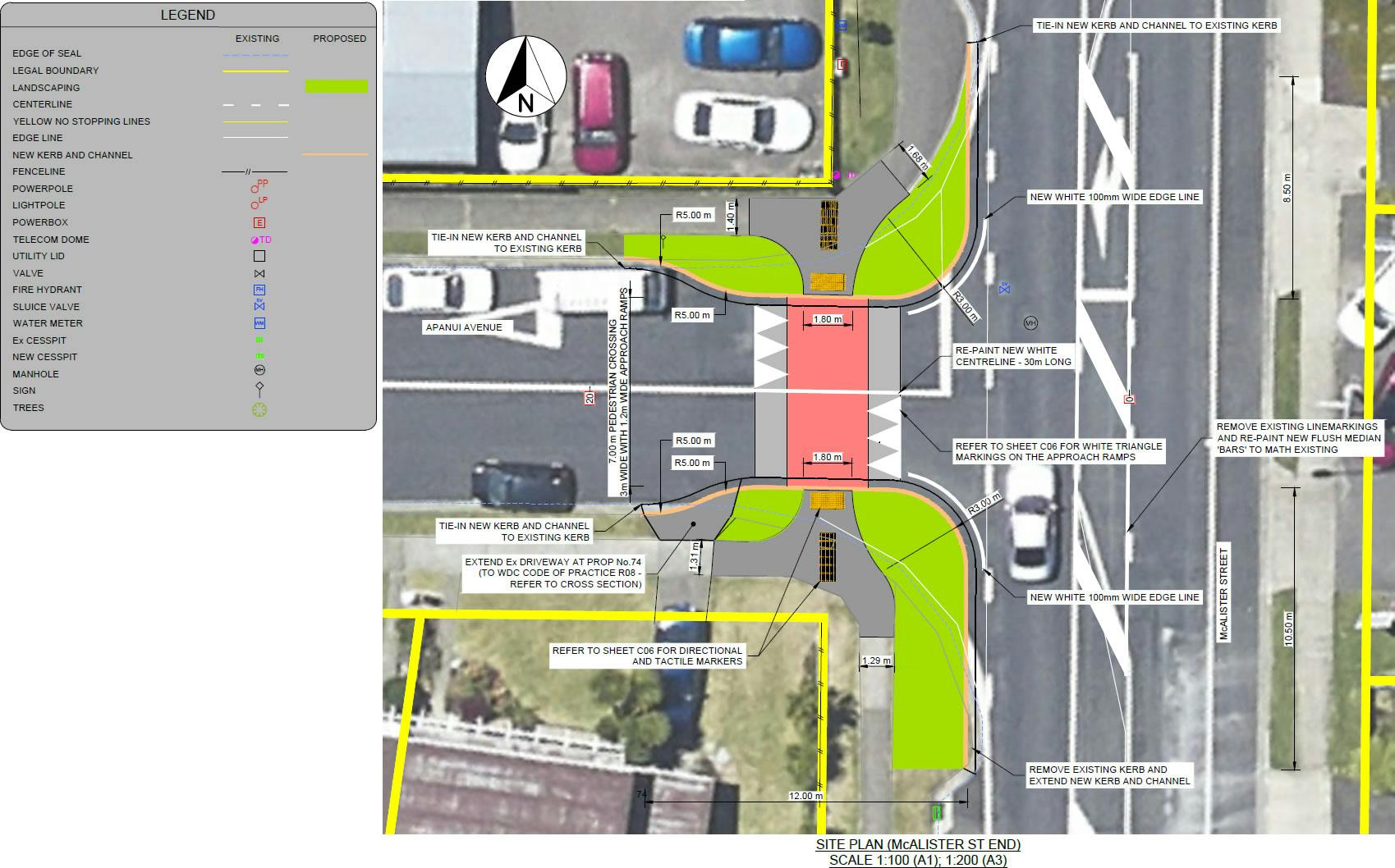
You can see on the map below suggested locations for drop-offs on McGarvey Road, and below that some information about the works that will be undertaken on Apanui Avenue to create a safer roading environment for everyone. The works include creating safer crossing points on Apanui Avenue, designed to allow children to walk or scooter more safely, while reducing traffic speeds on this busy road.


Stage 2 and Stage 3 are expected to be carried out in September and October. We’ll provide further details about these stages and associated road closures closer to the time.
Thanks for your patience while we complete these necessary works to make our roads safer for everyone.
Project background
We received complaints from residents of Apanui Avenue about traffic speeds and rat-running through their street. The street is also heavily used by the Apanui School and Kindergarten communities and the mix of high speeds and young road users heightens the risk of accidents. To address these issues for our most vulnerable road users, we're proposing to make the street environment slower and safer.
These slower, safer streets models, are known as 'Neighbourhood Greenways' and Apanui Avenue will be the first to be created in Whakatāne.
View the Apanui Ave Neighbourhood Greenways Concept - (PDF, 2 MB)
To create the Neighbourhood Greenway, we're proposing the following measures:
- Threshold treatments at either end of Apanui Avenue - These treatments include:
- Speed tables that gently slow vehicle speeds to 30kph and make road crossing easier for pedestrians
- Kerb extensions that narrow the road and therefore reduce the speed at which turning vehicles can enter Apanui Avenue
- Making the road less obvious to passers-by to deter use by rat runners
- Raised platform crossings located outside properties 30 and 38 Apanui Avenue
- these are designed to gently slow speeds to 30kph while providing obvious crossing points for pedestrians
- Parking changes outside of Apanui Kindergarten
- Removal of the bus stop to allow additional parking
- Remarking of some parking spaces opposite 38 Apanui Avenue






